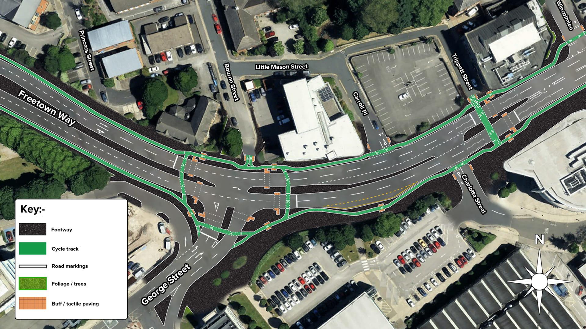
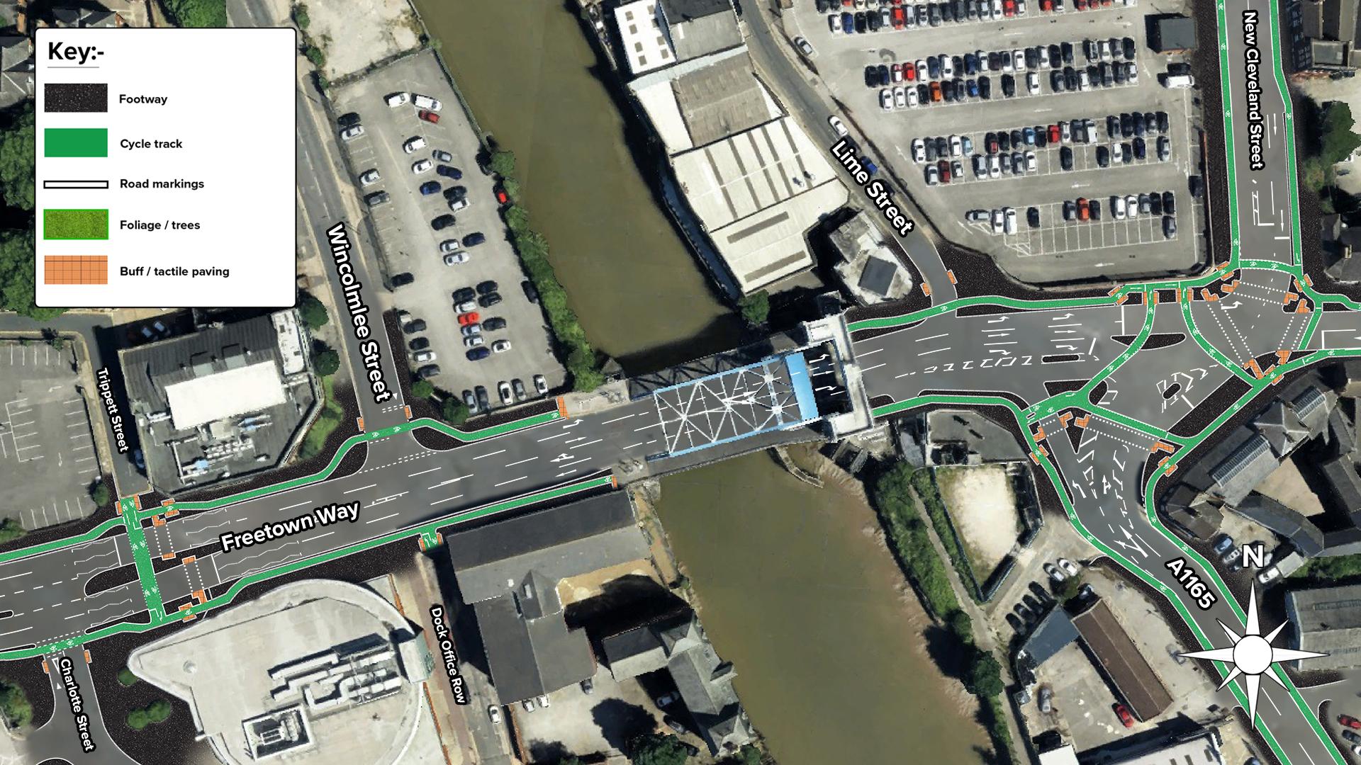
The scheme will see a return to two lanes of traffic and a focus on off-road cycling.
The scheme will see the footways on both sides of Freetown Way widened, between Witham and Blundell’s Corner, to accommodate safe, off-road cycle tracks, providing separate areas for both people cycling and for pedestrians.
The scheme will also include -
- the separation of left-turning traffic from people cycling straight ahead at junctions to improve safety
- additional pedestrian crossings along the route
- early start signals to support the safety of people cycling
- improved facilities for pedestrians and people cycling at junctions
- removal of cycle lanes, along the road, across North Bridge and replacement with an off-road cycle track
- removal of on-road cycle lanes at Blundell’s Corner
- new off-road cycle tracks around the Blundell’s Corner junction, fully separated from traffic and pedestrians

The scheme will also see the city’s first cycle optimised protected signals (CYCLOPS) junctions, which fully segregate people cycling from general traffic, installed at Blundell’s Corner and Witham, as well as Freetown Way’s junctions with Wright Street, Charles Street, Caroline Street/Worship Street and George Street.

The scheme is part-funded by an allocation from Active Travel England’s Active Travel Fund (ATF).
Localised enabling works are taking place at locations along the route to divert various utilities, including electricity and fibreoptics, to prepare the site for the delivery of the main scheme.
The council has identified Balfour Beatty as its preferred contractor to deliver the project and is in advanced negotiations with the company, with a view to awarding them the contract.
Following completion of the enabling works in January, the council will seek to finalise the appointment of its contractor and agree a programme of works early in the New Year and begin work on the main scheme, on site, from February 2026.